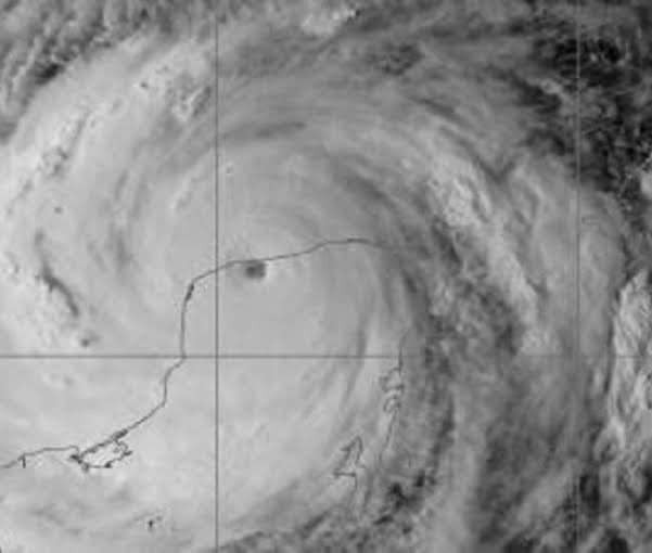
HOY SE CUMPLEN 23 AÑOS DEL PASO DESTRUCTOR DEL HURACÁN ISIDORO EN LA PENÍNSULA DE YUCATÁN
Un 22 de septiembre como hoy, pero de 2002, el huracán Isidoro impactó la Península de Yucatán como huracán de categoría III y viento de 205 kilómetros por hora, comenzó a “barrer” la costa yucateca hasta que, con fuerza destructora, ingresó a tierra firme alrededor de las 7 de la noche.







Fueron 36 horas de intensas lluvias, inundaciones, casas y árboles derrumbados y “cortes” de electricidad y de comunicación telefónica, las que tardó el meteoro en atravesar el Estado, además de las cuatro horas que se mantuvo estacionado en suelo yucateco.

